【2025-8-2】远洋天萃世纪售楼中心电话→远洋天萃世纪→远洋天萃世纪售楼处电话→2025最新房价→楼盘百科详情→电话24小时更新@营销中心电话-户型图
扫描到手机,新闻随时看
扫一扫,用手机看文章
更加方便分享给朋友
【远洋天萃世纪展示中心&样板房,诚邀雅鉴】
远洋天萃世纪售楼处电话: 400-109-9557☎开发商已认证✨✨
远洋天萃世纪营销中心电话: 400-109-9557☎营销中心已认证✨✨
远洋天萃世纪售楼中心电话: 400-109-9557☎24小时预约热线✨✨
➢ ➢本项目采用预约制,过来营销中心参观样板间请记得提前拨打开发商楼盘售楼处400热线电话在线预约,感谢您的配合!
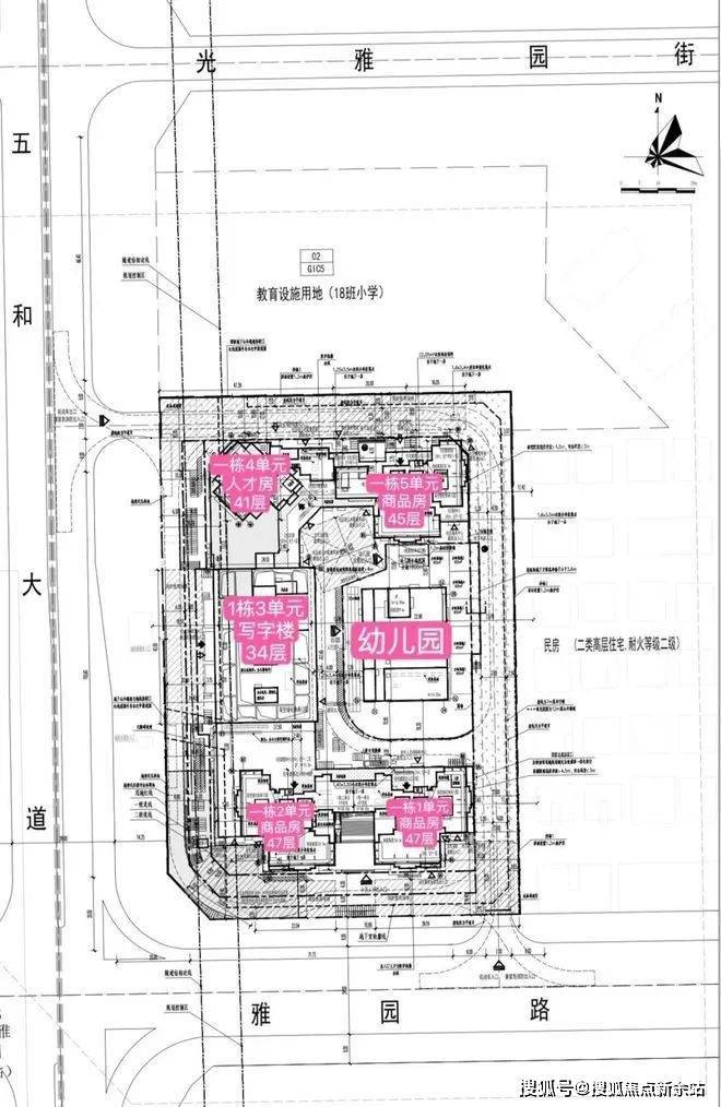
项目由远洋集团打造,位于坂田街道五和大道与光雅园路交汇处东北侧,紧邻地铁10号线光雅园站B出口。总占地面积约1.36万㎡,共由4栋总高44-47层的住宅+1栋34层的办公组成:其中,1栋1、2单元为47层住宅,5单元为45层住宅,约615套住宅(含50套回迁房);1栋4单元为41层人才房,共180套人才房;1栋3单元为34层写字楼;2栋规划为3层幼儿园。
产业集聚沃土 经济活力旺盛
作为世界级电子信息产业集群承载区,坂田街道聚集了华为、康冠等国内外知名企业,拥有614家国家高新技术企业和287家专精特新企业,形成了新一代电子信息、数字与时尚以及跨境电商等支柱行业,区域经济发展展现出了强劲的动力,是经济高质量发展的“高产田”。
远洋天萃世纪售楼处电话: 400-109-9557☎开发商已认证✨✨
远洋天萃世纪营销中心电话: 400-109-9557☎营销中心已认证✨✨
距离天萃雅园地铁两站就是中国最高双子塔,双塔荣立,双星闪耀以369米摩天高度,打造中国最高等高双子塔,更是实力和门面形象的升级展示
远洋天萃世纪售楼处电话: 400-109-9557☎开发商已认证✨✨
远洋天萃世纪营销中心电话: 400-109-9557☎营销中心已认证✨✨
深圳·星河双子塔,作为深圳·星河WORLD升级力作,是深圳唯一享160万㎡大城配套的超高层写字楼。园区耗资60亿元,打造10大类型醇熟配套,一站式解决企业及员工的办公和生活需求。同时,深圳·星河WORLD集产业、商务、居住、教育、购物、休闲等多业态配套的产融新城,规划约75万㎡产业办公空间、产业孵化区、品牌商业区、酒店公寓区、文化艺术区、人才配套区、湖山居住区、生态休闲区等多元业态,构筑“产城、产融、产居、产教”四位一体的产业全生态圈,实现“生产、生活、生态”全面融合,致力企业间联盟共赢,区域内业态互补,并让每一极产业核心跨界联合,资源交互,驱动城市经济腾跃。
远洋天萃世纪售楼处电话: 400-109-9557☎开发商已认证✨✨
远洋天萃世纪营销中心电话: 400-109-9557☎营销中心已认证✨✨
项目周边配套情况:
交通方面,真正的地铁口项目,楼下就是10号线光雅园站B出口,,地理位置非常不错,3站福田、6站岗厦北,1站五和换乘5号线2站抵达深圳北
小学学区划分在,科学高中五和实验学校,中学学区划分在坂田实验学校初中部,扬美实验学校初中部,深圳实验坂田校区初中部,科学高中五和实验学校初中部。
远洋天萃世纪售楼处电话: 400-109-9557☎开发商已认证✨✨
远洋天萃世纪营销中心电话: 400-109-9557☎营销中心已认证✨✨
其中龙岗排名前三的深圳实验坂田校区,校区和分校是完全不同的管理方式,分校是独立的组织,校区是由总部管理的。深圳实验学校坂田校区为六轨54个班的九年一贯制公办学校。学校总占地面积4.2万㎡,建筑面积2.8万㎡,运动场面积1.5万㎡,规划学位2430个,现有教工197人。学校教育教学设施按省一级学校标准建设,功能场馆齐全,设备设施先进。深实验坂田2023中考成绩:最高分585分,570以上23人;560分以上55人;550分以上93人。
远洋天萃世纪售楼处电话: 400-109-9557☎开发商已认证✨✨
远洋天萃世纪营销中心电话: 400-109-9557☎营销中心已认证✨✨
不过深实验坂田学校积分也比较高,据说这边目前是大学区制度,学区范围比较广所以积分也比较高,2023年入取积分高达103.15分,按目前龙岗入学积分规则学区内购房加龙岗户籍就有100分,入住一年加分只有0.6分,103.15那就是得住5年02个月才能上,除了这个学校外还有几所学校基本都能上,有坂田实验,科学高中五和实验以及云端学校(书香实验学校)这所学校也是市属学校据说是今年9月开学
商业方面:1公里范围内有8号仓奥特莱斯及阳光湾畔、五和商业广场等小型商场,距离雅宝星河wordCoCopapk1.6公里,距离天虹商场坂田店1.8公里。
文娱:方面项目所处位置即是深圳的“中心湖区“,沿着项目周边的4大自然生态湖泊环伺周围,包含民治水库、民乐水库、雅宝水库、南坑水库。不仅是深圳最稠密的湖区所在地,更拥有塘朗山和银湖山两大山林资源
远洋天萃世纪售楼处电话: 400-109-9557☎开发商已认证✨✨
远洋天萃世纪营销中心电话: 400-109-9557☎营销中心已认证✨✨
户型介绍
从平面图来看,1、2、5单元住宅均为一层5户的布局,以89㎡刚需户型为主;113㎡分别位于1、2单元,朝北望花园,128㎡位于5单元,朝南望花园,改善首选。
远洋天萃世纪售楼处电话: 400-109-9557☎开发商已认证✨✨
远洋天萃世纪营销中心电话: 400-109-9557☎营销中心已认证✨✨
远洋天萃平面图(以实际建成为准)
天璞世纪雅园小区2栋楼共分为4个单元,其中商品房3个单元,人才房1个单元41层,还有1栋办公楼、1所幼儿园。小区北边规划有18班小学一所。
远洋天萃世纪售楼处电话: 400-109-9557☎开发商已认证✨✨
远洋天萃世纪营销中心电话: 400-109-9557☎营销中心已认证✨✨
户型图
A1户型-约89㎡3房2厅2卫:户型分布在1、2、5单元,阳台南向、东向、西向均有选择。
竖厅格局,客厅3.5米开间,LDKB一体化,S墙设计预留冰箱卡槽位,客厅连接次卧出5.9米长的大阳台,主卧双面飘窗,次卧270°转角飘窗,全屋6面飘窗,U型厨房,卫生间干湿分离。
A2户型-约89㎡3房2厅2卫:户型分布在1、2、5单元,阳台南向、东向、西向均有选择。
竖厅格局,客厅3.5米开间,LDKB一体化,S墙设计预留冰箱卡槽位,客厅连接次卧出5.9米长的大阳台,次卧270°转角飘窗,对比A1户型少一面飘窗,U型厨房,卫生间干湿分离。
远洋天萃世纪售楼处电话: 400-109-9557☎开发商已认证✨✨
远洋天萃世纪营销中心电话: 400-109-9557☎营销中心已认证✨✨
B户型-约110㎡4房2厅2卫:户型分布在1、2单元,竖厅南北通透格局。
进门户玄关,客厅4.2米开间,客厅连接次卧出6.5米长的大阳台,主卧大套间设计,全屋9处飘窗,U型厨房,卫生间干湿分离。
C户型-约128㎡4房2厅2卫:户型分布在5单元,横厅南北通透格局。
进门户玄关,客餐厅6.5米开间,LDKB一体化,客厅连接次卧出6.1米长的大阳台,主卧大套间设计,全屋8处飘窗,U型厨房,卫生间干湿分离。
远洋天萃世纪售楼处电话: 400-109-9557☎开发商已认证✨✨
远洋天萃世纪营销中心电话: 400-109-9557☎营销中心已认证✨✨
远洋天萃世纪售楼中心电话: 400-109-9557☎24小时预约热线✨✨
✨✨远洋天萃世纪开发商售楼处电话:400-109-9557【预约热线】丨详细解答丨在售户型图丨项目介绍丨在售房源丨周边配套丨VR看房丨楼盘图丨沙盘图丨位置图丨配套图丨售楼处销售1V1讲解
免责声明:本宣传资料不构成邀约邀请,对周边、政府规划、商业配套、教育资源、投资前景等数据和图文仅为提供相关信息,本文如无意中侵犯了某方的知识产权告知即删,部分内容图片可能来源于网络,无法核实其真实出处,如涉及侵权请联系删除!!!
1、[贷款] 央行:2025年二季度末,人民币房地产贷款余额53.33万亿元,同比增长0.4%,增速比上年末高0.6个百分点,上半年增加4166亿元。房地产开发贷款余额13.81万亿元,同比增长0.3%,上半年增加2926亿元;
2、[外贸] 深圳海关:2025年上半年深圳进出口2.17万亿元人民币,占同期全国进出口总值的9.9%。其中,出口1.31万亿元;进口8588.6亿元。进出口、出口规模居内地城市首位,进口规模创历史同期新高;
3、[规划] 龙华区国际医疗器械城产业片区土地整备规划公布:规划容积超145万平,其中住宅74.5万平方米(含保障性住房9.9万平方米),深圳打造首个国际医疗器械城;
4、[新政] 惠州第四代住宅标准发布:空中花园不超过套内面积的35%;
5、[规划] 香港发展局与教育局宣布“城中学舍计划”接受申请,鼓励将现有商厦改装为学生宿舍;
6、[新盘] 上海海上原墅二批次开盘:86套房源在约2小时内迅速售罄;
7、[土拍] 上海第六批土拍7月24日开拍,8宗地块总起拍价236.7亿;
8、[土拍] 杭州两宗住宅用地约18.98亿元成交,其中余杭区地块溢价率29.65%、拱墅区地块溢价率7.29%;
9、[交通] 交通运输部:“十四五”时期,我国城市轨道交通运营里程约1.1万公里、居世界首位,城市公交运营线路总长度达到175万公里,比“十三五”末分别增加48.5%、18.3%;
10、[规划] 国资委:央企要主动融入城市发展创新生态,积极参与城中村和危旧房改造。
声明:本文由入驻焦点开放平台的作者撰写,除焦点官方账号外,观点仅代表作者本人,不代表焦点立场。
